土地

松戸市高塚新田の土地[物件特徴]

  NEW

掲載情報更新日:2026年04月12日 次回更新予定日:2026年04月26日

2,088万円

月々のお支払い例


万円


計算

※ 月々のお支払例は目安の試算となりますので、金融機関や商品によって借入金額の条件は異なります。詳しくは店舗までお問合わせください。

所在地

松戸市高塚新田

交通

JR武蔵野線『市川大野』 徒歩22分 (約1760m)

◆市川大野駅利用可能! ◆建築条件なし!全15区画の大型分譲地! ◆周辺には買物施設が多数◎
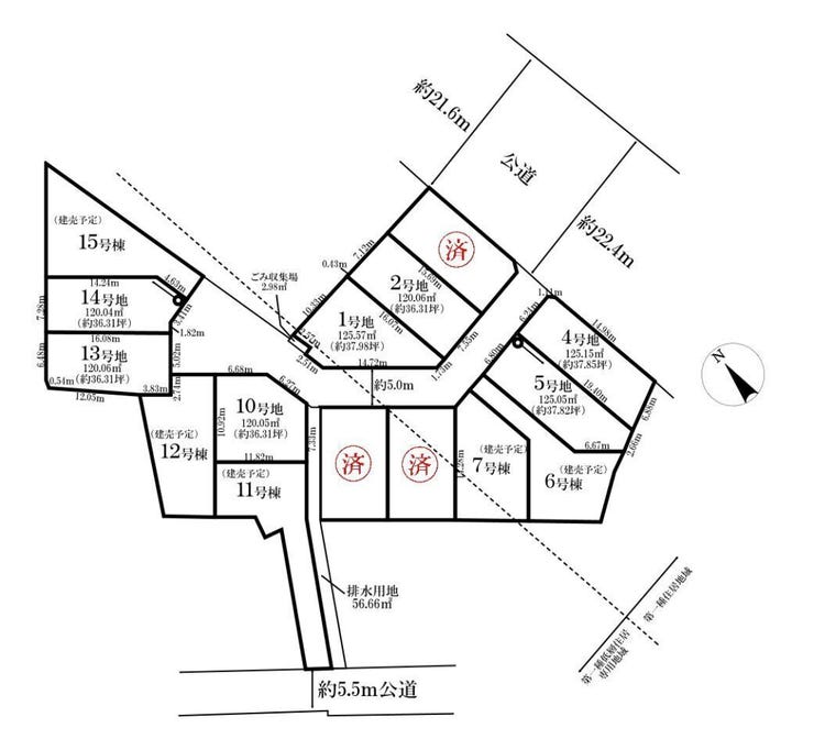
【区画図】
◎区画図:4号地

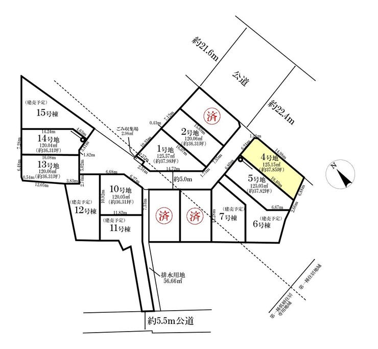
【区画図】
◎区画図:4号地

【外観】
◎区画図:4号地

【外観】
◎区画図:4号地

物件の特徴

主な設備

電気

公営水道

浄化槽

個別浄化槽

都市ガス

主な特徴

前道6m以上

スーパーが近い

閑静な住宅街

陽当り良好

角地

平坦地

建築条件無

アピールポイント

◆市川大野駅利用可能! ◆建築条件なし!全15区画の大型分譲地! ◆周辺には買物施設が多数◎

物件概要

スタッフ写真

担当エージェント:羽田 優

【家を買うならハウスドゥ 松戸中央!へ】

【松戸市は子育て世帯にやさしい!】
■子育て支援は全国トップレベル
■待機児童11年連続ゼロを達成!

◆物件のご見学、詳細を知りたい
◆住宅ローンのご相談
など、少しでも気になると思ったら
お気軽にフリーダイヤル【0800-800-7935】までお問い合わせ下さい!

価格 2,088万円 坪単価 坪55.2万円
物件種別 土地
所在地 千葉県松戸市高塚新田 4号地
アクセス JR武蔵野線『市川大野』 徒歩22分 (約1760m)
土地面積 実125.15㎡(37.85坪) 接道 北側幅 約5.0m
東側(公道)幅 約21.6m
私道 セットバック
最適用途 住宅用地 造成完了時期
地目 宅地(一部 山林含む) 地勢
権利 所有権
分譲情報 【販売区画】:7区画
【価格】:2,088万円 ~2,488万円
【最多価格】:2,200万円 ~2,300万円(2戸)
【土地面積】:120.04㎡ ~125.57㎡
都市計画 市街化区域
用途地域 1種低層(一部1種住居 含む)
建ぺい/容積率 50%(一部60% 含む) / 100%(一部200% 含む) 土地国土法
許可番号 建築基準法
法令制限 景観法・農地法届出要・宅地造成及び特定盛土等規制法・日影制限有・法22条区域
小学区 梨香台小学校 徒歩13分 (約1000m) 中学区 第五中学校 徒歩28分 (約2200m)
現況 更地 引渡 相談
建築条件 建築条件なし
その他費用
周辺環境 市川大野駅 徒歩22分 (約1760m)
松戸市立梨香台小学校 徒歩13分 (約1000m)
松戸市立第五中学校 徒歩28分 (約2200m)
備考 ◆市川大野駅利用可能! ◆建築条件なし!全15区画の大型分譲地! ◆周辺には買物施設が多数◎
物件番号 4675385 取引態様 媒介

電話で問合せ

通話料無料

0800-800-7935

定休日:水曜日
営業時間:10:00~18:00

物件番号をお伝えください

物件番号

4675385

【取扱い店舗】ハウスドゥ 松戸中央取扱い店舗情報
ナビ女性画像

【取扱い店舗情報】

ハウスドゥ 松戸中央
取扱会社:株式会社岳南不動産
所在地:〒271-0065 千葉県松戸市南花島1丁目7-6
フリーダイヤル:0800-800-7935
電話番号:047-710-7935 FAX:047-710-7936
免許番号:国土交通大臣(2)第9365号
所属団体:(一社)千葉県宅地建物取引業協会会員
(公社)全国宅地建物取引業保証協会会員
(公社)首都圏不動産公正取引協議会加盟
定休日:水曜日
営業時間:10:00~18:00

もっとたくさん物件がみたい!という方へ

店頭で

店頭ではHPに掲載できない物件を併せて
855件をご案内できます!

Webで

ご希望にマッチした物件や、新着・値下げ情報を
即日メールにてお届けします!

ページトップ

ページトップ