物件の特徴
主な設備
電気
公営水道
浄化槽
個別浄化槽
都市ガス
主な特徴
スーパーが近い
閑静な住宅街
角地
平坦地
建築条件無
◆市川大野駅利用可能! ◆建築条件なし!全15区画の大型分譲地! ◆周辺には買物施設が多数◎
物件概要
| 価格 | 2,388万円 | 坪単価 | 坪65.8万円 |
|---|---|---|---|
| 物件種別 | 土地 | ||
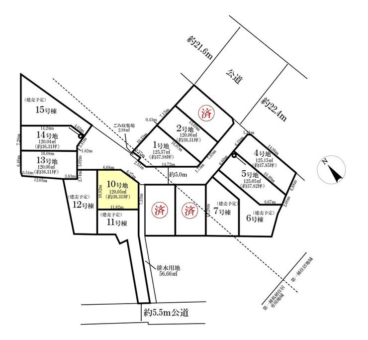
| 所在地 | 千葉県松戸市高塚新田 10号地 | ||
| アクセス | JR武蔵野線『市川大野』 徒歩22分 (約1760m) |
||
| 土地面積 | 実120.05㎡(36.31坪) | 接道 | 北東側幅 約5.0m |
| 私道 | セットバック | ||
| 最適用途 | 住宅用地 | 造成完了時期 | |
| 地目 | 宅地(一部 山林含む) | 地勢 | |
| 権利 | 所有権 |
||
| 分譲情報 | 【販売区画】:7区画 【価格】:2,088万円 ~2,488万円 【最多価格】:2,200万円 ~2,300万円(2戸) 【土地面積】:120.04㎡ ~125.57㎡ |
||
| 都市計画 | 市街化区域 |
用途地域 | 1種低層(一部1種住居 含む) |
| 建ぺい/容積率 | 50%(一部60% 含む) / 100%(一部200% 含む) | 土地国土法 | |
| 許可番号 | 建築基準法 | ||
| 法令制限 | 景観法・農地法届出要・宅地造成及び特定盛土等規制法・日影制限有・法22条区域 | ||
| 小学区 | 梨香台小学校 徒歩13分 (約1000m) | 中学区 | 第五中学校 徒歩28分 (約2200m) |
| 現況 | 更地 | 引渡 | 相談 |
| 建築条件 | 建築条件なし | ||
| その他費用 | |||
| 周辺環境 | 市川大野駅 徒歩22分 (約1760m) 松戸市立梨香台小学校 徒歩13分 (約1000m) 松戸市立第五中学校 徒歩28分 (約2200m) |
||
| 備考 | ◆市川大野駅利用可能! ◆建築条件なし!全15区画の大型分譲地! ◆周辺には買物施設が多数◎ | ||
| 物件番号 | 4675390 | 取引態様 | 媒介 |































担当エージェント:羽田 優
【家を買うならハウスドゥ 松戸中央!へ】
【松戸市は子育て世帯にやさしい!】
■子育て支援は全国トップレベル
■待機児童11年連続ゼロを達成!
◆物件のご見学、詳細を知りたい
◆住宅ローンのご相談
など、少しでも気になると思ったら
お気軽にフリーダイヤル【0800-800-7935】までお問い合わせ下さい!